Den tropiska cyklonen ”Hagupit” är en klass 5-cyklon på den 5-gradiga Saffir–Simpson orkanskalan. Hagupit följer skrämmande nära samma fåra som cyklonen Haiyan drog upp för tretton månader sedan. Även den cyklonen var klassad som en kategori 5 cyklon.
För att få lite perspektiv: Vår egen rekordstorm Gudrun, drog som bekant in över Götaland den 8-9 januari 2005. De högsta uppmätta vindarna från Gudrun var en medelvind på 33 m/s (120 km/h) och vindbyar på 42 m/s (150 km/h) från en vindmätare i Hanö. Det gjorde att den nätt och jämnt kom upp i klass 1.
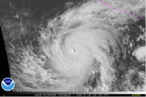
Hagupit, fortfarande till havs, har klockats med medelvind på 280 km/h och vindbyar på 340 km/h. Men det är inte bara vindhastigheten som är förödande. Vindarna pressar upp enorma mängder vatten framför sig. Kombinationen med extremt kraftig vind och en flodvåg som pressas in över land står för merparten av skadorna och dödsfallen. Till detta kommer kraftig nederbörd vilket luckrar upp marken och skapar förutsättningar för jordskred.
När detta drabbar ett samhälle så slås dessutom de mest basala funktioner ut: Vägar blir oframkomliga, det blir avbrott i vatten i vatten- och elförsörjning och kommunikationer slås ut.
När det nu gäller Filippinerna så har man som sagt var fjolårets tyfon Haiyan i färskt minne. Men man har inte heller rent fysiskt återhämtat sig från den. Många människor vars liv slogs i spillror för ett år sedan bor fortfarande i tillfälliga, ej stormsäkra, bostäder eller tom tält.
Prognoser visar att Hagupit kommer att dra in över Filippinerna under lördagen. Den amerikanska vädermodellen GFS har tidigare visat på att Hagupit skall svänga norrut och i så fall bara tangera Filippinerna. Den europeiska modellen ECMWF har däremot hållit fast på en bana som går över Filippinerna. Det kvarstår fortfarande skillnader mellan vädermodellerna, men den amerikanska GFS har successivt anpassat sig till ECMWF.
Även om Hagupit kommer att mattas av något till en kategori 4-cyklon då den kommer in över land, så ser det med andra ord ut att kunna bli en katastrofal situation på Filippinerna de kommande dagarna.
Hagupit blir årets sjunde tropiska cyklon av den värsta sorten, klass-5 (inräknat alla cykloner). Det gör år 2014 till det mest stormintensiva år sedan 2005 då vi hade 11 stycken kategori-5 orkaner.
/Martin

Hej Martin.
Finns det någon prognos på var stormen tar vägen efter/om den träffat Filippinerna? Kommer den komma upp till våra breddgrader?
Mvh // Söder
Den kommer att fortsätta västerut, mot Vietnam.
Tyfonen dör ut när den kommer ut över kallare vatten eller in över land. Den kommer inte att komma till Sverige.
Hej Martin , sådana kraftiga oväder är ju egentligen väldigt obekvämt , men människor ( och djur därtill ) är duktiga på att anpassa sig.
Japp, de som inte klarar att anpassa sig dör.
ja då får man hoppas att min pappa överlever! Sebu blir nog drabbat igen!